Chi tiết bài viết
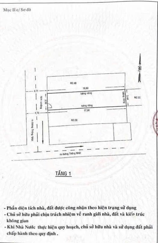
Nhà hẻm 294/40/31 Thống Nhất, Phường 11, Gò Vấp, Hẻm 5m thông, 3,5x17m, Cn 58,6 m2, Cấp 4, Gpxd lửng 2 lầu, ST, 5,55 tỷ TL
Khu vực: Thống Nhất, Phường 16, Quận Gò Vấp, TP Hồ Chí Minh
Thông tin chi tiết
Nhà hẻm 294/40/31 Thống Nhất, Phường 11, Gò Vấp, Hẻm 5m thông, 3,5x17m, Cn 58,6 m2, Cấp 4, Gpxd lửng 2 lầu, ST, 5,55 tỷ TL
Tags từ khóa
Bản đồ
Tin thường
Bán nhà mặt hẻm
Tây
5.55 Tỷ
58.6 m2
58.6 m2
1
1
3.5m
5m
Đăng Đầy Đủ
Thống Nhất, Phường 16, Quận Gò Vấp, TP Hồ Chí Minh
03/02/2026
31/03/2026
Hồng Khanh
Thống Nhất, P16, Gò Vấp
0906956946
0906956946
hongkhanh198429@gmail.com
Tin khác cùng loại (294)
Nhà hẻm 467/26 Lê Đức Thọ, Phường 16, Gò Vấp, 4x20m, trệt lửng 3 lầu, 11,5 tỷ TL
Giá: 11.5 Tỷ
Hướng: Đông Nam
Diện tích công nhận: 90m2
Diện tích sàn: 328m2
Đường trước nhà: 8m
Sổ hồng: Đăng Không Đủ
Ngày đăng: 22.11.2023
View: 2995
Khách Sạn MT 410 Lê Văn Thọ, Phường 16, Gò Vấp, MT 30m, 4x34m, Cn 99,6 m2, trệt 5 lầu, ST, 18PN, Thang máy, HT PCCC, Thu nhập 70tr/tháng, 17,5 tỷ TL
Giá: 17.5 Tỷ
Hướng: Tây Bắc
Diện tích công nhận: 99.6m2
Diện tích sàn: 510m2
Đường trước nhà: 20m
Sổ hồng: Đăng Không Đủ
Ngày đăng: 29.12.2024
View: 2045
Nhà hẻm 5m thích hợp mua đầu tư Lê Đức Thọ p16
Giá: 5,6 Tỷ
Hướng: Đông
Diện tích công nhận: 79.21m2
Diện tích sàn: 99,39m2
Đường trước nhà: 5m
Sổ hồng: Đăng Đầy Đủ
Ngày đăng: 17.09.2024
View: 2491
Nhà hẻm 631/44 Lê Đức Thọ, Phường 16, Gò Vấp, Hẻm 8m, 4,1x14m, trệt 3 lầu, ST, 4PN, 5WC, 5,9 tỷ TL
Giá: 5.9 Tỷ
Hướng: Đông Nam
Diện tích công nhận: 58m2
Diện tích sàn: 183m2
Đường trước nhà: 8m
Sổ hồng: Đăng Không Đủ
Ngày đăng: 25.06.2024
View: 2544
Nhà MT 78 Đường số 9, Phường 16, Gò Vấp, MT 8m, 3,3x10m, Cn 32,8 m2, trệt lửng lầu, 4,65 tỷ TL
Giá: 4.65 Tỷ
Hướng: Đông Bắc
Diện tích công nhận: 32.8m2
Diện tích sàn: 75m2
Đường trước nhà: 8m
Sổ hồng: Đăng Đầy Đủ
Ngày đăng: 16.05.2024
View: 2208
Nhà 2 MT 1003 Lê Đức Thọ, Phường 16, Gò Vấp, MT 15m, 3,4x19,5m, Cấp 4, 13tr/tháng, 4,9 tỷ TL
Giá: 4.9 Tỷ
Hướng: Đông Bắc
Diện tích công nhận: 29.5m2
Diện tích sàn: 16.9m2
Đường trước nhà: 20m
Sổ hồng: Đăng Đầy Đủ
Ngày đăng: 13.12.2023
View: 2353
Đất hẻm 350/56/2 Nguyễn Văn Lượng, Phường 16, Gò Vấp, Hẻm 3,5m, 4,5x10,85m, Cn 48,4 m2, 4,85 tỷ TL
Giá: 4.85 Tỷ
Hướng: Đông Nam
Diện tích công nhận: 48.4m2
Diện tích sàn: m2
Đường trước nhà: 3.5m
Sổ hồng: Đăng Đầy Đủ
Ngày đăng: 25.10.2025
View: 1494
Nhà hẻm 276/113 Thống Nhất, Phường 16, Gò Vấp, Hẻm 5m thông, 4x15,3m, Cn 61,8 m2, trệt 4 lầu, ST, 4PN, 5WC, Thang máy, Full nội thất, 10,9 tỷ TL
Giá: 10.9 Tỷ
Hướng: Đông
Diện tích công nhận: 62m2
Diện tích sàn: 121m2
Đường trước nhà: 5m
Sổ hồng: Đăng Đầy Đủ
Ngày đăng: 14.05.2025
View: 1704
Nhà đẹp hẻm 350// Nguyễn Văn Lượng P16 GV, trệt 1 lầu, 2PN,2WC, Giá 5,48 tỷ TL
Giá: 5,48 Tỷ
Hướng: Đông
Diện tích công nhận: 55m2
Diện tích sàn: m2
Đường trước nhà: m
Sổ hồng: Không Đăng Sổ
Ngày đăng: 30.09.2024
View: 1935
Nhà MT 168 Đường số 2, Phường 16, Gò Vấp, MT 4m, 3,8 NH 5,8x18m, Cn 58,6 m2, trệt 2 lầu, ST, 3PN, 3WC, Nội thất, 7,9 tỷ TL
Giá: 7.9 Tỷ
Hướng: Tây Bắc
Diện tích công nhận: 59m2
Diện tích sàn: 157m2
Đường trước nhà: 4m
Sổ hồng: Đăng Không Đủ
Ngày đăng: 25.09.2024
View: 2040





