Chi tiết bài viết
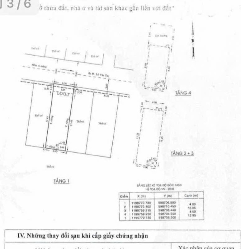
Nhà hẻm 434/76/5 Phạm Văn Chiêu, Phường 9, Gò Vấp, Hẻm 5m thông, 4x13m, Cn 51,8 m2, trệt 3 lầu, ST, 7PN, 7WC, 7,35 tỷ TL
Khu vực: Phạm Văn Chiêu, Phường 9, Quận Gò Vấp, TP Hồ Chí Minh
Thông tin chi tiết
Nhà hẻm 434/76/5 Phạm Văn Chiêu, Phường 9, Gò Vấp, Hẻm 5m thông, 4x13m, Cn 51,8 m2, trệt 3 lầu, ST, 7PN, 7WC, 7,35 tỷ TL
Tags từ khóa
Bản đồ
Tin thường
Bán nhà mặt hẻm
Đông Bắc
7.35 Tỷ
51.8 m2
170 m2
4
7
7
4m
5m
Đăng Đầy Đủ
Phạm Văn Chiêu, Phường 9, Quận Gò Vấp, TP Hồ Chí Minh
26/09/2025
30/11/2025
Hồng Khanh
Thống Nhất, P16, Gò Vấp
0906956946
0906956946
hongkhanh198429@gmail.com
Tin khác cùng loại (206)

Tòa Nhà hẻm 380 Phạm Văn Chiêu, Phường 9, Gò Vấp, Hẻm 8m thông, 6x16m, Cn 95,6 m2, Hầm 6 lầu, ST, 22P Full nội thất, HT Pccc, Thu nhập khoán 1,1 tỷ/năm, 26 tỷ TL
Giá: 26 Tỷ
Hướng: Đông Bắc
Diện tích công nhận: 96m2
Diện tích sàn: 500m2
Đường trước nhà: 8m
Sổ hồng: Đăng Đầy Đủ

Ngày đăng: 02.10.2025
View: 68

Nhà hẻm 248/27 Nguyễn Văn Khối, Phường 9, Gò Vấp, Hẻm 8m thông, 4x19m, Cn 73,8 m2, trệt 1 lầu, ST, 2PN, 2WC, 7,5 tỷ TL
Giá: 7.5 Tỷ
Hướng: Đông Nam
Diện tích công nhận: 73.6m2
Diện tích sàn: 126m2
Đường trước nhà: 8m
Sổ hồng: Đăng Không Đủ

Ngày đăng: 16.03.2025
View: 1230

Siêu phẩm sát mặt tiền đường Lê Văn Thọ p9 Gò Vấp
Giá: 8.5 Tỷ
Hướng: Tây Nam
Diện tích công nhận: 56,4m2
Diện tích sàn: 157,2m2
Đường trước nhà: 7m
Sổ hồng: Đăng Đầy Đủ

Ngày đăng: 29.08.2024
View: 1115

Đất hẻm 198/3 Đường số 3, Phường 9, Gò Vấp, Hẻm 6,5m thông, 14,7x5,5m, 2 lô, 11,5 tỷ TL, 5,75 tỷ TL/Lô
Giá: 5.75 Tỷ
Hướng: Đông Bắc
Diện tích công nhận: 40m2
Diện tích sàn: m2
Đường trước nhà: 6m
Sổ hồng: Đăng Đầy Đủ

Ngày đăng: 07.08.2025
View: 547

Nhà MT 25 Đường số 9, Phường 9, Gò Vấp, MT 8m, 4,5x22m, trệt lửng 5 lầu, ST, 9PN, 10WC, Full nội thất, Thang máy, 17,8 tỷ TL
Giá: 17.8 Tỷ
Hướng: Đông Bắc
Diện tích công nhận: 64m2
Diện tích sàn: 355m2
Đường trước nhà: 8m
Sổ hồng: Đăng Không Đủ

Ngày đăng: 23.03.2025
View: 808

Bán đất hẻm 4m thông đường số 3 P9 Gò Vấp
Giá: 5,3 Tỷ
Hướng: Tây Nam
Diện tích công nhận: 61,5m2
Diện tích sàn: m2
Đường trước nhà: 4m
Sổ hồng: Đăng Đầy Đủ

Ngày đăng: 02.09.2024
View: 1137

Nhà hẻm 100/52 Đường số 3, Phường 9, Gò Vấp, Hẻm 6m thông, 5,2x26m, Cn 119,9 m2, trệt lửng 4 lầu, ST, 13P làm CHDV, MB, 60tr/tháng, 12,8 tỷ TL
Giá: 12.8 Tỷ
Hướng: Đông Bắc
Diện tích công nhận: 120m2
Diện tích sàn: m2
Đường trước nhà: 6m
Sổ hồng: Đăng Không Đủ

Ngày đăng: 01.09.2024
View: 2066

Nhà hẻm 220/90 Nguyễn Văn Khối, Phường 9, Gò Vấp, Hẻm 10m thông, 5x20m, Cn 95 m2, trệt 3 lầu, ST, 4PN, 1P Karaoke, 2P Xông Hơi, 6WC, Nội Thất Gỗ, 16,5 tỷ TL
Giá: 16.5 Tỷ
Hướng: Tây Bắc
Diện tích công nhận: 95m2
Diện tích sàn: 252m2
Đường trước nhà: 12m
Sổ hồng: Đăng Không Đủ

Ngày đăng: 30.06.2024
View: 1442

Nhà 2 MT hẻm 100/109 Đường số 3, Phường 9, Gò Vấp, Hẻm 12m thông, 4x15m, Cn 58,2 m2, trệt lửng 3 lầu, ST, 4PN, 5WC, 12,8 tỷ TL
Giá: 12.8 Tỷ
Hướng: Tây Nam
Diện tích công nhận: 58m2
Diện tích sàn: 248m2
Đường trước nhà: 12m
Sổ hồng: Đăng Đầy Đủ

Ngày đăng: 17.06.2024
View: 1207

Bán nhà hẻm 220/47/5 Cây Trâm p9, Gò Vấp, 4,5x18m, 3 lầu, hẻm 4,5m
Giá: 7.8 Tỷ
Hướng: Đông Bắc
Diện tích công nhận: 72m2
Diện tích sàn: m2
Đường trước nhà: 4.5m
Sổ hồng: Đăng Không Đủ

Ngày đăng: 20.04.2023
View: 1594